店舗のリニューアルをしたい|薬局の開業・開局の専門コンサルタント「三和メディコ」

薬局開業専門コンサルティング
お問い合わせフォーム

店舗のリニューアルをしたい

CASE3 店舗の拡張・リニューアル

三和メディコが手掛けた店舗のリニューアル事例をご紹介します。

お客様のご要望

  • 長年やってきて、商品数が増えたり、在庫を保管しておく場所がなくなり手狭になったので、拡張、リニューアルしたい

当社のご提案、対応

  • 隣の店舗が空いたこともあり、拡張も含めたリニューアルをご提案


長年調剤薬局を運営していると、お客様のご要望などで商品数が増えたり、在庫を保管してく場所の問題は必ず出てくるものです。運営当初からそこまで考慮した設計が出来ればベストですが、なかなかそうもいかないものです。今回はそのような薬局様からご依頼をいただきました。


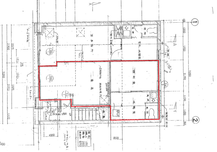
赤い線で囲んだ部分が以前の薬局スペースです。薬局の隣にほかの店舗がありましたが、退去するとのことで、リニューアルに合わせ、拡張することになりました。

他の店舗が隣接していました。カウンターが斜めにあったため、奥に行くほど狭くなってしまっていました。調剤室も手狭になってしまっていたため、効率的に動くことが難しい状況でした。


拡張したことで、調剤室のスペースも広げ、ゆとりを持たせることが出来ました。また、以前は待合室も狭かったため、お客様にご不便をかけることもありましたが、広くスペースを確保することができました。

拡張したことで、動きやすい調剤室になり、また、分包器などを置くスペースも出来たため、より効率的になりました。
待合室にもゆとりが生まれ、テレビを配置することで、お待ちいただいている間も快適な空間になりました。

薬局開業、独立コンサルティング ~三和メディコ~



ページの上部へ戻る